Innovación y experiencia en cada proyecto.

Nuestros servicios

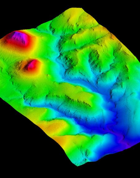
Levantamiento-LiDAR-Aerofotografia

Levantamiento LiDAR

Nubes de puntos de alta densidad para modelado 3D.

Aplicaciones en ingeniería civil, hidrología y gestión de riesgos.

Aerofotogrametria-Aerofotografia

Aerofotogrametría

Generación de ortofotos, ortomosaicos y MDT/DSM.

Aplicaciones en minería, urbanismo, agricultura y medio ambiente.

Fotografia-aerea-Aerofotografia

Fotografía aérea de alta resolución.

Documentación visual para infraestructura, catastro, turismo y monitoreo ambiental.

Levantamiento-LiDAR-Aerofotografia

Cartografía temática y georreferenciada

Mapas especializados (uso de suelo, hidrografía, infraestructura).

Aerofotogrametria-Aerofotografia

Inspección aérea especializada

Termografía aérea para energía e infraestructura.

Vuelos oblicuos para patrimonio cultural y zonas urbanas.

Nuestro trabajo

Estadio-hidalgo-Aerofotografia

Chiapas

Aeropuerto-san-francisco-Aerofotografia

Comalcalco

Teotihuacan-Aerofotografia

Ciudad del Carmen

Estadio-hidalgo-Aerofotografia

Estadio Hidalgo

Aeropuerto-san-francisco-Aerofotografia

Aeropuerto San Francisco

Teotihuacan-Aerofotografia

Teotihuacán

Experiencia Profesional

Cada proyecto es una oportunidad para superar expectativas y ofrecer una visión más clara y detallada del mundo.

Contáctanos